Important to Know: Hip Dysplasia

Quick read - Hip Dysplasia

  • Hip Dysplasia is a problem with ligament laxity, pain and early development of Osteoarthritis

  • It can’t be cured, but it can be managed to minimise any discomfort

  • A genetic basis of the disease often underlies the condition

  • X-rays and examination under an anaesthetic is essential for a definite diagnosis

  • In breeds prone to Hip Dysplasia, it is important to have the hips of both parents assessed prior to breeding

  • Management of Hip Dysplasia is through a combination of medication and home activities 

Hip Dysplasia

Hip dysplasia (HD) is a well-documented condition in our pets. Common in large breeds and working-type dogs, we are also seeing HD more often in smaller breeds, such as French Bulldogs. Although the main risk factor underlying the development of HD is genetic, we can increase or decrease the impact on our pets through simple, but disciplined actions taken at home.

How does Hip Dysplasia Develop?  

HD is considered to be caused by many factors.  The primary issue is a ligament looseness that affects the correct development of the hip joint. This means the disease starts when our pets are young and then the effects progress through their lives.

The initial stages of the disease occurs when the loose ligaments stop the hip socket and the head of the femur (thigh bone) from aligning properly. This puts extra strain on the joints causing synovitis and arthritis whilst also further stretching the ligaments supporting the hip joint.  

This extra strain on a poorly formed joint then progresses over time to cause a deteriorating osteoarthritis in young-middle aged dogs and can have a severe impact on our pet’s quality of life.

How do we Diagnose Hip Dysplasia?

Hip dysplasia is suspected in any case of back limb pain, no matter the breed or species. Despite this suspicion, because there are other causes of hip pain, we will always need to get a definitive diagnosis through testing to help us plan the treatment and management.

Videos, or watching the dog trot and run, help us to identify an early case of HD.  Affected dogs often skip with both back legs because this is a more comfortable movement, not requiring moving the hip joint much.

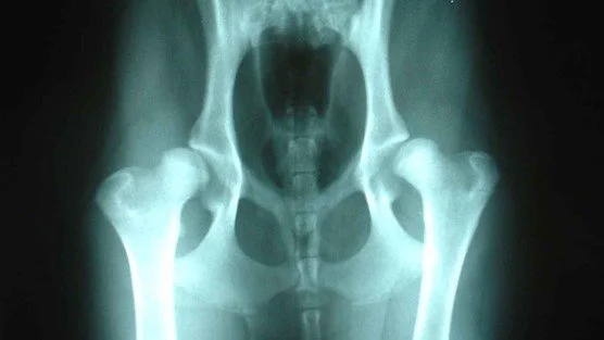
X-rays under an anaesthetic is essential. This allows us to manipulate the joints without causing any pain to our pets and thus get a really good image of the joint. There are several areas we examine on the X-ray shown in the picture. 

  • Yellow Arrow – the location of the “ball” of the joint should be inside the socket

  • Red Arrow – new bone growth can occur, known as osteophytes – this is a sign of osteoarthritis being established

  • Blue Arrow – a denser back part of the socket joint is another sign of advanced disease

  • Green Arrow – the bright white line occurs when more bone is being added to strengthen the joint – this is known as sclerosis.

The Ortolani test is something that can only be done effectively under an anaesthetic.   It involves moving the hip in a way to try and slightly dislocate the joint.  In a normal pet, this should be impossible.  If the ligaments are loose – in the case of HD – then this is able to be done.    This sign usually comes before any x-ray changes and so it is often the most important test we can do when pets are young.

How can we treat Hip Dysplasia?

Treating HD can be problematic. The disease is genetic and as a result, we cannot cure HD. This limits our efforts to better manage the effects of HD and reduce the discomfort often suffered by a patient.

Whilst every patient is different, there are common principles we can employ to guide our management of HD. The picture shows the 6 principles for consideration. The green triangle is what can be done at home, whilst the blue triangle is what we can support within the vet practice. It is always important to consult with a vet, or veterinary nurse to establish an effective treatment plan specific to your pet.

For specific tips on weight management and Osteoarthritis OA, read our previous blog posts!

Can Hip Dysplasia be Prevented?

The best way to prevent HD is to not breed from dogs, or pets, affected by the condition. This is discussed below.  

If you have a pet that you think may be at risk of developing hip dysplasia, then there are three things to consider.

  1. Feed a breed specific diet, and do not encourage fast growth of large dogs or cats

    Fast growth means the young ligaments are put under too much stress. In pets with a risk for HD, this could be the difference between developing mild, or severe, HD.   Larger breed dogs are most at risk, so discuss with your vet or vet nurse, how to best feed your pet.

  2. Early screening and diagnosis

    Ask for the hip scores (see below) of the parents of the pet. Not all breeders will have had these carried out, but in certain breeds such as Labradors, this is essential for Kennel Club registration and recognition. A high score means the offspring will develop HD. In pets of parents with a high score, an early x-ray assessment will help pick up the condition quickly so we can start the green and blue triangle interventions quickly.

  3. Exercise restriction

    This is the most controversial element.   There is a mixed body of science that suggests over-exercising a young dog adds to the development of the disease.  As a result, controlled exercise and limited off the lead running is recommended by some professionals.   This may be true, but often the young dogs have so much energy the practicalities are hard to follow.  Because of this, I focus on the first two points as being easier to manage and will likely have a greater impact.

I want to breed with my pet, but their breed is known to be at greater risk of Hip Dysplasia

Breeding from a pet that is at risk of HD is possible, but it should be done with caution.  The Kennel Club have a list of breeding requirements to help reduce the transmission of the disease to their progeny available on their website.

The main screening required is to have a Hip Score done.  This involves taking a series of specific x-rays to determine if the parent has HD themselves, and if so, how severe is the condition.  If the condition is severe then breeding is not advisable.

Conclusion

  • Hip Dysplasia is a complex disease. At any stage in a pet’s life, we can diagnose the condition, and once diagnosed, every pet develops differently, and so is affected differently.  

  • X-rays and an assessment under an anaesthetic is important to get a definite answer, and also if breeding is desired.

  • When managing a pet with HD, the triangle approach is important.  Should medication or surgery be appropriate for your pet, your vet will discuss this on an individual basis.

  • Despite this, pets with HD can have long, energetic and healthy lives so we should not be too negative about this diagnosis!